Działka * SPRZEDAŻ * Boża Wola* gm. Mielec
150.000zł
Sprzedaż
Opis
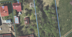
SPRZEDAM działkę w miejscowości Boża Wola gm. Mielec , o powierzchni 19,00 a . Zjazd z drogi publicznej (asfalt). Działka posiada dostęp do następujących mediów : w działce kanalizacja, woda . W drodze , prąd , gaz , sieć telekomunikacyjna . Kształt działki : prostokąt. Wymiary ok. 30,4m x 65 m .
Okolica : zwarta zabudowa jednorodzinna.
Klasa gruntu : Ł III
Plan miejscowy : brak
Cena : 150 tyś.
Stan prawny uregulowany.
Adres
-
Kraj Polska
-
Region/województwo podkarpackie
-
Miasto/miasteczko Mielec
-
Dzielnica Boża Wola
